Drone Flights Give Scientists Better Data on Vegetation in the Arctic Tundra
November 2, 2021
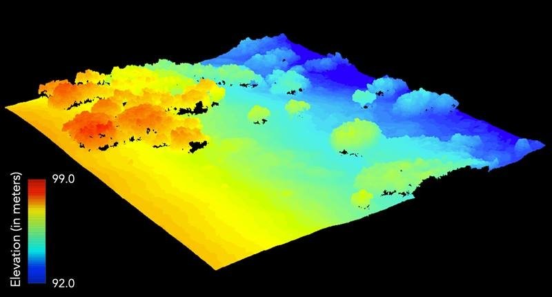
enlarge
Three-dimensional rendering of surface elevation and structure of an Arctic vegetation canopy from the aerial system. Highly detailed information like this yields new insights into the distribution and structure of plants at high latitudes.
The following science highlight was originally published by the U.S. Department of Energy’s Office of Science, Office of Biological and Environmental Research.
The Science
Climate change is changing the health and distribution of plants around the world. Scientists use various satellite and airborne systems to monitor vegetation changes over space and time. However, these systems have low resolution. This limits their use in identifying fine-scale patterns and properties of plants. This problem is especially great in the Arctic, where vegetation is more mixed than in other ecosystems. Scientists recently adopted unoccupied aerial systems (UASs) for high-resolution monitoring of changes in vegetation through the Next Generation Ecosystem Experiment (NGEE)-Arctic. UASs provide high-resolution data on vegetation that improves scientists’ understanding of how plants respond to the environment. These data help scientists better predict how climate change affects ecosystems on Earth.
The Impact
Climate change affects the composition, structure, and function of vegetation in the Arctic. Most systems for remote sensing are currently not sensitive enough to characterize the fine-scale patterns of Arctic plants. Computer models need this fine-scale data to predict vegetation dynamics under different climate conditions. Researchers designed the Osprey multi-sensor UAS to collect spatial details at very high, centimeter-scale resolution. Osprey helps scientists identify the critical links between the environment and vegetation. Understanding these links enables scientists to build improved simulations of plants and their response to future climate change.
Summary
UASs fill a critical gap in the monitoring of ecosystems by providing very high-resolution observations. They can be deployed in remote areas with less effort than other airborne systems and can collect data on demand under different conditions. This study leveraged a novel UAS platform designed to collect fine-detail information on Arctic plant structure and functional properties. The researchers show that the use of the multi-sensor platform was effective for fine-scale mapping of vegetation patterns, properties, and health. The investigators also found that taller Arctic shrubs regulate the patterns of surface temperature and plant species composition and that these patterns could be mapped in fine detail with a UAS. Leveraging these platforms will allow scientists to understand the key features of Artic plants that facilitate acclimation to their environment, necessary information for modeling plants under future climate conditions.
Contact
BER Program Manager
Daniel Stover
Department of Energy Office of Science, Office of Biological and Environmental Research, Earth and Environmental Systems Sciences Division
Environmental System Science
daniel.stover@science.doe.gov
Principal Investigators
Shawn P. Serbin
Brookhaven National Laboratory
sserbin@bnl.gov
Daryl Yang
Brookhaven National Laboratory, Stony Brook University
dediyang@bnl.gov
Funding
This work, the associated field data, and UAS collection campaigns were supported by the Next-Generation Ecosystem Experiments in the Arctic (NGEE-Arctic) project supported by the Department of Energy Office of Science, Office of Biological and Environmental Research and through the Department of Energy contract to Brookhaven National Laboratory.
Publications
Yang, D., et al., A Multi-Sensor Unoccupied Aerial System Improves Characterization of Vegetation Composition and Canopy Properties in the Arctic Tundra. Remote Sensing 12 (16), 2638 (2020). [DOI: 10.3390/rs12162638].
2021-19236 | INT/EXT | Newsroom




